我感觉我家狗狗(萌萌)被蠕形螨盯上了,一直和蠕形螨纠缠不清,真是折磨得我两眼一黑。我平时都很注重给萌萌做好疾病防治措施和日常护理,但是还是逃不过蠕形螨感染。不知道有没有哪个姐妹有一样的经历?希望没有。

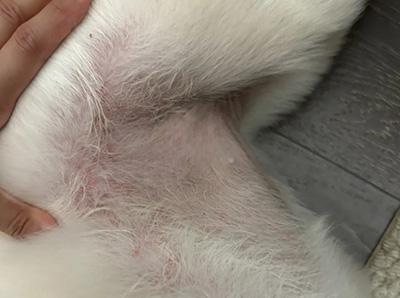
今年5月份,萌萌第二次感染蠕形螨,全身都是红点结痂,我一看到就知道它又得皮肤病了。我立即带萌萌去宠物医院检查,经过皮肤刮片检查确诊为细菌和蠕形螨混合感染。

在此之前,萌萌也感染过蠕形螨,但是之前只有眼睛周围感染,打针治疗后,两个月就彻底治好了。现在又再次发生感染,还是注射多拉菌素,吃消炎药,吃AD油和金维葆(复合维生素B片)。同时,外涂银离子抗菌喷雾,每隔一周洗一次澡。

在治疗中途,萌萌还得了一次脓皮症,还是要吃药、喷药。期间有多心累我就不说了,所幸很快就治好了。

但是有时候还是会怀疑人生,我就奇怪了,我每天花时间精力遛狗,喂食,擦尿拖地,也有定期驱虫,为什么萌萌还是会得这个病。我开始查找有没有什么方法可以避免蠕形螨复发。
说到这里,值得一提的是,宠物医生建议我用滴派(吡虫啉莫昔克丁滴剂)定期给狗狗,每个月一次。
同时,我还去查了文献,知道了蠕形螨会一直潜伏在毛囊皮脂腺,破坏皮肤抵抗力,继发细菌真菌感染,比如脓皮症等。因此,要想避免蠕形螨复发,提高狗狗的皮肤抵抗力以及做好相关护理是最重要的。
在治疗方面,自己给狗狗使用伊维菌素和抗真菌外用药也是可以的。只是要注意控制好剂量,有些犬种如牧羊犬就不能用伊维菌素。我家狗狗注射的是多拉菌素,适用广无明显不良反应。治疗期间还可以结合抗真菌的药浴香波,以达到更好的治愈效果。
盐酸特比萘酚或伊曲康唑等抗真菌药物都能有效对抗真菌感染,从而治疗癣症。在用药的同时,需要提高狗狗皮肤的抵抗力,可以给狗狗补充乳铁蛋白、鱼油、维生素、卵磷脂等。此外,治疗期间保持狗狗体表干燥,还可以让狗狗多晒太阳来增加免疫力。
我现在已经在家里备好一些宠物专用的抗真菌药物了,有皮普特(盐酸特比萘芬喷剂)、达克宁(复方酮康唑软膏)等,但是希望萌萌不要再发生感染了。
以上就是我的经验分享,希望可以给有需要的宠主带来帮助,减少狗狗蠕形螨感染情况的发生。
